+17788828601
realtor phone number +1 (778) 882-8601
agent realty Team 3000 Realty Ltd.

realty logo
231 LAWRENCE New Westminster, British Columbia V3M5K9, New Westminster , V3M5K9
Listing ID: C8076095
Share
$1,299,900
Price
8,334
Sq. Ft.
Data last updated: February 12, 2026 at 01:33pm
Quick Access
Photos
Video
Map

Property Description

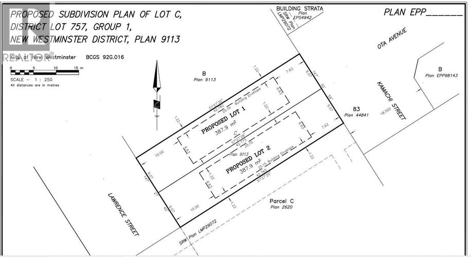
BETTER THAN A DUPLEX !! Attn: Builders / Developers, 8,334 sqft lot located in the heart of Queenbrough and just steps away from Queensborough Community Centre and Park. 2 road frontages Lawrence and Ota St. Property is cleared, zoned and has conditional approval for 2 lot subdivision, planning and engineering completed and approved by City of New Westminster. Child care/Pre school facility maybe be an alternative land use, Check with City of New Westminster Call or email Bryce today for more information (id:26452)

Other located at 231 LAWRENCE New Westminster, British Columbia V3M5K9. 231 LAWRENCE New Westminster, British Columbia V3M5K9 is in the New Westminster neighborhood. New Westminster, and Saanichton are nearby neighbourhoods.
Show More keyboard_arrow_down


Agent Contact: Bryce Ayers Phone: +16045304141
Listing Courtesy of: Homelife Benchmark Realty (Langley) Corp.
Source: crea , MLS#: C8076095

close
Naru Menon
+17788828601

Here to help with your Real Estate inquiries

Naru Menon
+17788828601
chat
Message
By sharing this listing, you have agreed with roomvu's terms and conditions of usage
$3,703.37
Monthly
$878,400
Total Mortgage
$219,600
Down Payment